แหล่งเรียนรู้อ่าวคุ้งกระเบน
- 1. การแนะนำ
- 2. ที่ตั้งและภูมิประเทศ
- 3. การเดินทาง
- 4. ความเป็นมา
- 5. ป่าชายเลนสำคัญอย่างไร การเดินทาง
- 6. หน้าที่ของศูนย์ศึกษาการพัฒนาอ่าวคุ้งกระเบน อันเนื่องมาจากพระราชดำริ
- 7. พืชและสัตว์ที่พบในป่าชายเลน
- 8. น้ำในป่าชายเลน
- 9. ดินในป่าชายเลน
- 10. พืชในป่าชายเลนเป็นพืชที่ทนเค็มได้อย่างไร
- 11. สัตว์ในป่าชายเลน
- 12. รากไม้ในป่าชายเลน
- 13. การสืบพันธุ์และขยายพันธุ์ของไม้ป่าชายเลน
- 14. ชนิดของหญ้าทะเล
- 15. ประโยชน์ของป่าชายเลน
- 16. ป่าชายเลน แหล่งเพาะเลี้ยงสัตว์น้ำชายฝั่ง
- 17. ปัญหาที่เกิดขึ้นกับป่าชายเลนและแนวทางในการแก้ปัญหา
- - ทุกหน้า -

เมื่อเอ่ยถึงชื่อ "อ่าวคุ้งกระเบน" เชื่อว่าหลายคนต้องคิดถึงชายหาด ทะเล คลื่น และอาจจะคิดไปถึงปลาตีนในป่าชายเลน อ่าวคุ้งกระเบนเป็นชื่อเรียกสั้นๆ ที่ผู้คนส่วนใหญ่เข้าใจกันดีว่า หมายถึง ศูนย์ศึกษาการพัฒนาอ่าวคุ้งกระเบน อันเนื่องมาจากพระราชดำริ จ.จันทบุรี ซึ่งเป็นศูนย์ฯ ที่มีหน้าที่เกี่ยวข้องกับความรับผิดชอบในด้านการทดลองวิจัยพัฒนาด้านการเพาะเลี้ยงสัตว์น้ำ การจัดการและอนุรักษ์ทรัพยากรชายฝั่งและสิ่งแวดล้อมให้เกิดความสมดุลอย่างยั่งยืน รวมทั้งยังทำหน้าที่ฝึกอบรมเผยแพร่ข้อมูลวิชาการ เพื่อใช้ในการแก้ปัญหาและอุปสรรคของการเพาะเลี้ยงสัตว์น้ำชายฝั่ง ตลอดจนการดำเนินการและประสานงานโครงการอันเนื่องมาจากพระราชดำริให้บรรลุตามวัตถุประสงค์ต่างๆ ด้วย
กลับไปที่เนื้อหา
ศูนย์ศึกษาการพัฒนาอ่าวคุ้งกระเบน อันเนื่องมาจากพระราชดำริ ต.คลองขุด อ.ท่าใหม่ จ.จันทบุรี มีพื้นที่ศูนย์กลางบริเวณศูนย์ศึกษาประมาณ 4,000 ไร่ โดยมีการดำเนินกิจกรรมแบบผสมผสานระหว่างป่าไม้และประมง
กลับไปที่เนื้อหา
การเดินทา
สามารถเดินทางได้โดยใช้รถยนต์ โดยสามารถเริ่มต้นจากที่ ศาลากลาง จ.จันทบุรี มาตามทางหลวงหมายเลข 3145 ต.บางกะจะ อ.เมือง และต่อมาตามทางหลวงหมายเลข 3147 เพื่อมุ่งหน้าสู่ อ.ท่าใหม่ จนถึงอนุเสาวรีย์หมูดุด (พะยูน) และขับมาเรื่อยๆ จนถึงศูนย์ศึกษาการพัฒนาอ่าวคุ้งกระเบน อันเนื่องมาจากพระราชดำริ
กลับไปที่เนื้อหา
นักเรียนสามารถดูวีดิทัศน์ที่บอกเล่าเกี่ยวกับความเป็นมาของศูนย์ศึกษาการพัฒนาอ่าวคุ้งกระเบน อันเนื่องมาจากพระราชดำริ จ.จันทบุรี ได้จากหน้าแรกของเว็บไซต์ http://www.fisheries.go.th/cf-kung_krabaen/index_1.html
ศูนย์ศึกษาการพัฒนาอ่าวคุ้งกระเบน อันเนื่องมาจากพระราชดำริ จ.จันทบุรี ได้เริ่มก่อตั้งตามพระราชดำริของพระบาทสมเด็จพระเจ้าอยู่หัว เมื่อครั้งที่พระองค์ได้เสด็จพระราชดำเนินประกอบพิธีเปิดพระบรมราชานุเสาวรีย์สมเด็จพระเจ้าตากสินมหาราชที่ จ.จันทบุรี เมื่อวันที่ 28 ธันวาคม 2524 เพื่อหาพื้นที่ที่เหมาะสมสำหรับจัดทำโครงการพัฒนาอาชีพการประมงและการเกษตรในเขตที่ดินชายฝั่งทะเล จ.จันทบุรี และต่อมาเมื่อวันที่ 30 ธันวาคม 2524 พระบาทสมเด็จพระเจ้าอยู่หัว ได้มีพระราชดำริเพิ่มเติม ณ พระตำหนักจิตรลดารโหฐาน เรื่องให้พิจารณาจัดหาพื้นที่ป่าสงวนเสื่อมโทรมหรือพื้นที่สาธารณะประโยชน์เพื่อจัดตั้งศูนย์ศึกษาการพัฒนาเช่นเดียวกับศูนย์ศึกษาการพัฒนาเขาหินซ้อน ให้เป็นศูนย์ศึกษาเกี่ยวกับการพัฒนาในเขตที่ดินชายทะเล จังหวัดจันทบุรีได้ร่วมหารือกับหน่วยงานต่างๆ ที่เกี่ยวข้องและพิจารณาความเหมาะสมของพื้นที่ จึงได้กำหนดพื้นที่ ต.คลองขุด อ.ท่าใหม่ จ.จันทบุรี เป็นพื้นที่สำหรับจัดตั้งเป็นศูนย์ศึกษาการพัฒนาอ่าวคุ้งกระเบน อันเนื่องมาจากพระราชดำริ ตั้งแต่ ปี พ.ศ. 2525 เพื่อให้เป็นหน่วยงานที่ดำเนินการศึกษาสาธิต และการพัฒนาในเขตที่ดินชายฝั่งทะเล เพื่อวางแผนพัฒนาการจัดการทรัพยากรที่มีอยู่ให้เหมาะสมและยั่งยืนตลอดไป
อ้างอิงที่มา
ศูนย์ศึกษาการพัฒนาอ่าวคุ้งกระเบน อันเนื่องมาจากพระราชดำริ จ.จันทบุรี http://www.fisheries.go.th/cf-kung_krabaen/intro.htm
กลับไปที่เนื้อหา
เป็นที่ทราบกันดีว่า ป่าชายเลนเป็นบริเวณที่มีสิ่งมีชีวิตต่างๆ อาศัยอยู่ร่วมกันมากมายทั้งสัตว์น้ำและสัตว์บกและเป็นแหล่งอนุบาลตัวอ่อนของสัตว์น้ำนานาชนิด เนื่องจากป่าชายเลนเป็นระบบนิเวศที่เชื่อมต่อกันระหว่างระบบนิเวศบนบกและระบบนิเวศทางทะเล ทำหน้าที่เป็นกำแพงธรรมชาติที่ลดความแรงของคลื่นและลมทะเล ส่งผลต่อการลดการกัดเซาะพื้นที่บริเวณชายฝั่ง ทำให้เกิดการสะสมของตะกอน ดิน และทรายช่วยเพิ่มพื้นที่ของชายฝั่ง หรือจะพูดง่ายๆ ว่าทำให้เกิดการงอกของพื้นดินก็ได้ และการที่มีต้นไม้ชายเลนที่มีระบบรากที่มีลักษณะเฉพาะทำให้ช่วยในการสะสมตะกอนและธาตุอาหารต่างๆ ที่จำเป็นต่อการเจริญเติบโตของสิ่งมีชีวิตที่อาศัยในระบบนิเวศป่าชายเลน จึงเป็นแหล่งที่ตัวอ่อนของสิ่งมีชีวิตต่างๆ เข้ามาอาศัยหาอาหารเพื่อการเจริญเติบโตและหลบภัย
วิดีทัศน์เรื่อง ป่าชายเลนสำคัญอย่างไร (การเดินทาง)
กลับไปที่เนื้อหา
ศูนย์ศึกษาการพัฒนาอ่าวคุ้งกระเบน อันเนื่องมาจากพระราชดำริ จ.จันทบุรี มีบทบาทและหน้าที ดังนี้
1. ดำเนินการวิจัยและศึกษารูปแบบการจัดการทรัพยากรชายฝั่งอย่างยั่งยืน
2. เป็นศูนย์กลางในการอบรมเผยแพร่ ผลการศึกษาการจัดการทรัพยากรชายฝั่ง ให้แก่ส่วนราชการและภาคเอกชนทั่วไป เพื่อทำให้ประชาชนสามารถนำความรู้ไปใช้ในการประกอบอาชีพได้อย่างถูกต้องและยั่งยืน
3. ยกระดับฐานะความเป็นอยู่ อาชีพของราษฎรบริเวณอ่าวคุ้งกระเบน และพื้นที่ใกล้เคียง โดยมุ่งเน้นการพัฒนาช่วยเหลือราษฎรที่มีฐานะยากจน
4. พัฒนาด้านการประมงและการเพาะเลี้ยงสัตว์น้ำ เพื่อเพิ่มผลผลิตของประเทศ ตลอดจนพัฒนากิจกรรมอื่นๆ แบบบูรณาการควบคู่กันไปด้วย
5. ฟื้นฟูทรัพยากรธรรมชาติชายฝั่ง อนุรักษ์สภาพแวดล้อมและดุลยภาพทางธรรมชาติให้คงลักษณะของพื้นที่ไว้
6. ส่งเสริมสนับสนุนและพัฒนาการท่องเที่ยวเชิงอนุรักษ์และพัฒนาอย่างยั่งยืน
วิดีทัศน์ เรื่อง หน้าที่ของศูนย์ศึกษาการพัฒนาอ่าวคุ้งกระเบน อันเนื่องมาจากพระราชดำริ
กลับไปที่เนื้อหา
พืชในระบบนิเวศป่าชายเลน จะเป็นพืชที่มีลักษณะเฉพาะแตกต่างกับพืชที่ขึ้นอยู่ในระบบนิเวศบนบก ก็คือ จะเป็นพืชที่มีความสามารถในการปรับตัวเพื่อให้สามารถทนต่อความเค็มของน้ำทะเลได้ มีรากอากาศและระบบรากที่ทำให้สามารถได้ออกซิเจนเพียงพอต่อการดำรงชีวิตในดินที่มีน้ำขังตลอดเวลาได้ ดินในสภาพดังกล่าวจะมีออกซิเจนน้อย นอกจากนี้พืชหลายชนิดยังมีความสามารถในการขับเกลือจากน้ำทะเลออกจากต้นได้ ทำให้สามารถเจริญเติบโตได้ดีในสภาพดินที่เค็มและมีน้ำทะเลท่วมถึง ตัวอย่างพืช เช่น โกงกางใบเล็ก (ชื่อวิทยาศาสตร์ Rhizophora apiculata) ซึ่งเป็นพืชที่พบมากที่สุด โกงกางใบใหญ่ (ชื่อวิทยาศาสตร์ Rhizophora mucronata)

ประสักดอกแดง หรือ ประสัก (ชื่อวิทยาศาสตร์ Bruguiera gymnorrhiza) แสมขาว (ชื่อวิทยาศาสตร์ Avicennia alba) แสมทะเล (ชื่อวิทยาศาสตร์ Avicennia marina)

ฝาดดอกขาว (ชื่อวิทยาศาสตร์ Lumnitzera racemosa) ฝาดดอกแดง (ชื่อวิทยาศาสตร์ Lumnitzera littorea) โปรง (ชื่อวิทยาศาสตร์ Ceriops tagal) ไม้วงศ์ Meliaceae สกุล Xylocarpus พบในป่าชายเลนไทย 3 ชนิดคือ ตะบัน (ชื่อวิทยาศาสตร์ Xylocarpus rumphii) ตะบูนขาว หรือตะบันขาว (ชื่อวิทยาศาสตร์ Xylocarpus granatum) ตะบูนดำ (ชื่อวิทยาศาสตร์ Xylocarpus moluccensis) และชนิดอื่นๆ รวมแล้วประมาณ 43-47 ชนิด ซึ่งเมื่อเทียบกับรายงานการสำรวจจากกรมทรัพยากรทางทะเลและชายฝั่ง (ปี 2550) พบว่าประเทศไทยมีพันธุ์ไม้ป่าชายเลนทั้งหมด 73 ชนิด ซึ่งทำให้เห็นได้ว่า ที่อ่าวคุ้งกระเบนมีความหลากหลายของพันธุ์ไม้ในป่าชายเลนมากกว่าครึ่งของที่พบในประเทศไทย
สัตว์ในระบบนิเวศป่าชายเลน ในระบบนิเวศป่าชายเลนจะพบสัตว์หลากหลายชนิด ไม่ว่าจะเป็น สัตว์บกและสัตว์น้ำ เช่น กุ้ง หอย (ที่พบ เช่น หอยตานนท์ (ชื่อวิทยาศาสตร์ Littorina scrabra scrabra) หอยจุ๊บแจง (ชื่อวิทยาศาสตร์ Cerithidea obtuse) หอยปากเป็ด (ชื่อวิทยาศาสตร์ Lingula anatine)) ปลา (พี่พบมากก็คือ ปลาตีน (ชื่อวิทยาศาสตร์ Perioptalmus chrysosphilos) ปลากระบอก (ชื่อวิทยาศาสตร์ Mugil dussumieri)) สัตว์เลื้อยคลาน (งู ตะกวด เต่า และจระเข้) สัตว์ในกลุ่มปู (ปูแสมเขียว (ชื่อวิทยาศาสตร์ Episesarma mederi) ปูแสม (ชื่อวิทยาศาสตร์ Sesarma mederi) ปูม้า (ชื่อวิทยาศาสตร์ Portunus pelagicus) ปูหนุมาน (ชื่อวิทยาศาสตร์ Grapsus albiliniatus) ปูก้ามดาบ (ชื่อวิทยาศาสตร์ Uca vocans) )
สัตว์ในกลุ่มนกโดยจากการสำรวจในปีงบประมาณ 2553-2554 พบว่ามีนกอาศัยอยู่ในบริเวณอ่าวคุ้งกระเบนมากถึง 128 ชนิด เช่น นกกินเปรี้ยว (ชื่อวิทยาศาสตร์ Todiramphus chloris) นกตะขาบทุ่ง (ชื่อวิทยาศาสตร์ Caracias benghalensis) นกตีนเทียน (ชื่อวิทยาศาสตร์ Himantopus himantopus) นกเป็ดผีเล็ก (ชื่อวิทยาศาสตร์ Tachybaptus ruficollis) และยังเป็นแหล่งที่มีหญ้าทะเลซึ่งเป็นที่หลบภัย เป็นที่อยู่อาศัยเพื่อการเจริญเติบโตของตัวอ่อนของสัตว์น้ำในทะเล เป็นแหล่งอาหารที่สำคัญของพะยูนซึ่งเป็นสัตว์เลี้ยงลูกด้วยน้ำนมที่อาศัยในน้ำ ซึ่งในอดีตเคยพบพะยูนเข้ามาหากินหญ้าทะเลในอ่าวคุ้งกระเบนนี้ แต่ปัจจุบันความถี่ในการพบจะน้อยมากเนื่องจากปัญหาการลดลงของจำนวนพะยูน นอกจากนี้ยังมีรายงานการพบสัตว์เลี้ยงลูกด้วยน้ำนมชนิดอื่นๆ อีก เช่น ค้างคาว ลิงลม หนูบ้าน และนาก นอกจากนี้ยังพบสิ่งมีชีวิตมากมายอีกหลายชนิดครอบคลุมสิ่งมีชีวิตมากมายหลายกลุ่มรวมถึงจุลินทรีย์ และโปรโตซัวชนิดต่างๆ ด้วย ทำให้ระบบนิเวศของที่นี่มีความอุดมสมบูรณ์เป็นอย่างมาก เราสามารถเขียนแผนภาพได้ง่ายๆ ดังนี้

นักเรียนสามารถเขียนสายใยอาหารป่าชายเลนได้ในหลากหลายรูปแบบขึ้นกับสิ่งมีชีวิตที่นักเรียนพบและสนใจศึกษาเกี่ยวกับความสัมพันธ์ของสิ่งมีชึวิตในระบบนิเวศป่าชายเลน
กลับไปที่เนื้อหา
น้ำหรือดินในป่าชายเลน จะเป็นกรดหรือเบส - สิ่งที่เรารู้ก็คือป่าชายเลนเป็นป่ารอยต่อระหว่างป่าบกและป่าทะเล มีน้ำทะเลท่วมถึงในระยะเวลาที่แตกต่างกันขึ้นกับพื้นที่ของป่าชายเลนเหล่านั้น นั่นหมายความว่า น้ำในป่าชายเลนต้องมีความเค็มเทียบเท่าหรือน้อยกว่าน้ำทะเล หรือมีความเค็มมากกว่าน้ำจืด ทำให้พืชในบริเวณป่าชายเลนต้องมีการปรับตัวเพื่อให้สามารถดำรงชีวิตอยู่ได้ การขึ้นลงของน้ำในป่าชายเลนจะเป็นตัวกำหนดชนิดของพืช สัตว์ที่อาศัยในป่าชายเลน โดยในช่วงเวลาที่น้ำขึ้น พื้นดินในป่าชายเลนจะถูกน้ำทะเลท่วม และในขณะที่น้ำทะเลลงพื้นดินก็จะกลับมาแห้งอีกครั้ง ซึ่งระดับน้ำขึ้นน้ำลงจะมีผลต่อปริมาณออกซิเจน และความเค็มของดิน ดังนั้น สิ่งมีชีวิตทั้งพืชและสัตว์ต้องสามารถปรับตัวให้อยู่ในสภาวะดังกล่าวได้
วิดีทัศน์เรื่อง น้ำในป่าชายเลน
ความเค็ม หมายถึงปริมาณเกลือแร่ของสารต่างๆ ที่ละลายอยู่ในน้ำ มีหน่วยวัด คือ น้ำหนักเป็นกรัมของสารดังกล่าวต่อกิโลกรัมของน้ำ หรือ เรียกง่ายๆ ว่า ส่วนในพันส่วน (ppt หรือ part per thousand)
การเปลี่ยนแปลงความเค็มของน้ำทะเลในป่าชายเลนจะขึ้นกับระดับน้ำขึ้นและน้ำลง ฤดูกาล หรือช่วงเวลาที่น้ำจืดและน้ำทะเลมีการผสมปนเปกัน โดยอาจจะมีค่าความเค็มเปลี่ยนแปลงอยู่ในช่วงระหว่าง 0-33 ส่วนในพันส่วน ในขณะที่น้ำเค็มในทะเลหรือมหาสมุทรจะมีความเค็มเฉลี่ยอยู่ที่ 35 ส่วนในพันส่วน หรือ 35 ppt
ความเค็ม (Salinity) จะมีผลต่อ pH ของน้ำทะเลหรือไม่ขึ้นกับว่า สารที่ทำให้เกิดความเค็มในบริเวณนั้นเป็นสารชนิดใด ถ้าเป็น NaCl ซึ่งเป็นเกลือที่เป็นกลาง จะไม่มีผลต่อ pH ของน้ำทะเลในบริเวณนั้น แต่ถ้าเป็นเกลือที่เป็นสารประกอบที่มี NH4+ เป็นองค์ประกอบร่วมอยู่ด้วย หรือสารประกอบที่เมื่อละลายน้ำแล้วให้ H+ ก็จะทำให้น้ำทะเลในบริเวณนั้นเป็นกรด ส่วนเกลือที่เมื่อละลายน้ำแล้วเป็นเบสก็จะเป็นสารประกอบเกลือที่มี acetate ion, carbonate ion, phosphate ion เป็นต้น
การวัดความเป็นกรดเบส หรือการวัด pH เป็นการวัดปริมาณของไฮโดรเจนอิออน (H+) ที่พบละลายอยู่ในน้ำ ถ้าน้ำมีค่า pH ต่ำกว่า 7 แสดงว่า น้ำนั้นมีสภาพเป็นกรด แต่ถ้าน้ำมีค่า pH สูงกว่า 7 แสดงว่าน้ำนั้นมีสภาพเป็นด่าง ปัจจัยที่มีผลต่อค่า pH ของน้ำก็คือ สิ่งมีชีวิต ปริมาณน้ำฝนหรือน้ำจืด และปริมาณคาร์บอนไดออกไซด์ โดยค่า pH ที่มีความแตกต่างกันในรอบวันจะเป็นผลมาจากการสังเคราะห์ด้วยแสงของพืชและแพลงค์ตอนพืชที่อาศัยอยู่อย่างเป็นอิสระในน้ำบริเวณป่าชายเลน และการหายใจของสิ่งมีชีวิตที่ทำให้เกิดการเปลี่ยนแปลงของความเข้มข้นของคาร์บอนไดออกไซด์ที่ละลายอยู่ในน้ำ มีการเปลี่ยนแปลงไป โดยทั่วไปแล้ว ในเวลากลางวัน พืชใช้คาร์บอนไดออกไซด์ในการสังเคราะห์ด้วยแสงได้มากกว่า ทำให้ปริมาณคาร์บอนไดออกไซด์ลดลงน้ำจึงมีสภาพเป็นเบสมากกว่า เมื่อเทียบกับน้ำในเวลากลางคืนที่จะมีสภาพเป็นกรดมากกว่า
pH ที่ค่าเป็นกรดจะมีผลทำให้สิ่งมีชีวิตมีการเจริญเติบโตช้าลง pH ที่เหมาะสมต่อการเจริญเติบโตและดำรงชีวิตของสัตว์น้ำก็คือ 7-8.5 ส่วนสัตว์ที่อาศัยอยู่ในน้ำกร่อย จะมีความสามารถในการปรับตัวและทนต่อการเปลี่ยนแปลงของ pH ของน้ำได้ดีกว่าสัตว์ทะเลและสัตว์น้ำจืด
กลับไปที่เนื้อหา
ดินในป่ายเลนโดยทั่วไปแล้วจะพบตามชายฝั่ง หรือปากแม่น้ำ เกิดจากการสะสมกันของตะกอนที่พัดเข้าสู่ชายฝั่งหรือปากแม่น้ำ และ/หรือเกิดจากการกัดเซาะชายฝั่งแม่น้ำหรือการพังทะลายของดินจากที่สูงและไหลมาตามแม่น้ำ ลำธาร และถูกพัดพามาตกตะกอนรวมกันกับตะกอนที่พัดจากบริเวณปากแม่น้ำหรือชายฝั่ง โดยลักษณะของตะกอนที่มาทับถมกันจะมีความแตกต่างกันไปขึ้นกับแหล่งกำเนิดของตะกอน อาจจะเป็นตะกอนละเอียดซึ่งเกิดจากดินโคลนบริเวณปากแม่น้ำ หรืออาจจะเป็นตะกอนทราย ซึ่งเมื่อเกิดเป็นดินบริเวณป่าชายเลนแล้วก็จะส่งผลทำให้พืชพันธ์บริเวณป่าชายเลนมีจำนวนชนิดและปริมาณที่แตกต่างกันด้วย
สำหรับอ่าวคุ้งกระเบน เนื่องจากมีลักษณะภูมิประเทศเป็นอ่าวเกือบปิด ทำให้ดินตะกอนในอ่าวคุ้งกระเบนมีลักษณะที่แตกต่างจากดินในป่าชายเลนที่อื่นๆ คือ บริเวณที่มีดินเลนมากๆ จะอยู่ก้นอ่าวซึ่งมีตะกอนที่มีขนาดเล็ก ส่วนบริเวณด้านในจะเป็นดินทราย และมีตะกอนดินเลนเข้ามาทับถมน้อยทำให้สามารถเดินได้ ซึ่งเป็นลักษณะพิเศษของดินในป่าชายเลนที่นี่
วิดีทัศน์เรื่อง ดินในป่าชายเลน
ปริมาณธาตุอาหารในดินของป่าชายเลนก็จะมีลักษณะแตกต่างกันไปขึ้นกับแหล่งของตะกอนที่ถูกพัดมาสะสมกัน และปริมาณน้ำทะเลที่ท่วมถึงและระยะเวลาที่ท่วมตามระดับน้ำขึ้นน้ำลงก็จะเป็นตัวกำหนดชนิดของพืชในป่าชายเลนด้วย จะพบว่าบริเวณที่มีน้ำท่วมตลอดเวลาต้นโกงกางใบใหญ่จะสามารถเจริญเติบโตได้ในสภาวะเช่นนี้ ในขณะที่บริเวณที่มีน้ำทะเลท่วมเฉพาะตอนที่น้ำทะเลขึ้นสูงในระดับกลาง (มีช่วงเวลาที่น้ำทะเลท่วมไม่ถึงด้วย) ก็จะพบต้นแสมขาว แสมทะเล ลำพู โกงกางใบใหญ่ เป็นต้น ถ้าจะจัดกลุ่มของพืชในป่าชายเลนที่ชอบเจริญใกล้ทะเลที่สุดไปยังบริเวณรอยต่อของป่าชายเลนและป่าบก จะสามารถจัดได้ตามลำดับดังนี้ ใกล้ทะเล (น้ำเค็ม) ---> โกงกางใบใหญ่ และโกงกางใบเล็ก ----> ต้นแสม ----> ต้นตะบูน ------> ต้นโปรง ต้นฝาด -----> ต้นเสม็ดพบเจริญบริเวณรอยต่อระหว่างป่าชายเลนกับป่าบก

กลับไปที่เนื้อหา
วีดิทัศน์เรื่อง พืชในป่าชายเลนทนเค็มได้อย่างไร
พืชในป่าชายเลนต้องปรับตัวเพื่อให้สามารถดำรงชีวิตอยู่ในสิ่งแวดล้อมที่มีเค็ม มีปริมาณออกซิเจนในดินต่ำเนื่องจากน้ำทะเลท่วมขังเกือบตลอดเวลาและสภาพดินที่เหลวไม่เหมาะกับการทรงตัวของต้นไม้ใหญ่ ทำให้พืชที่อาศัยในป่าชายเลนต้องมีการการปรับตัวในหลายๆ ด้าน ดังนี้
1. จะมีระบบรากหายใจ (Pneumatophores) เพื่อทำให้รากพืชสามารถรับออกซิเจนได้เพียงพอ เนื่องจากป่าชายเลนมีน้ำท่วมถึงทำให้ปริมาณออกซิเจนในดินน้อยกว่าในดินที่น้ำไม่ท่วม ลักษณะของรากก็จะแตกต่างกันไป เช่น ต้นโกงกาง (Rhizophora spp.) จะมีรากหายใจแทงออกจากต้นลงสู่ดิน ต้นแสมทะเล (Avicennia marina) จะมีรากหายใจโผล่จากดินขึ้นมาเหนือระดับน้ำ ต้นตะบูน (Xylocarpus spp.) และต้นลำพูทะเล (Sonneratia alba) จะมีรากหายใจโผล่ขึ้นเหนือน้ำเป็นรูปกรวยคว่ำซึ่งจะมีบริเวณโคนรากจะมีความหนามากกว่าปลายรากที่โผล่พ้นน้ำ เป็นต้น และโดยทั่วไปแล้วพืชจะปรับตัวให้มี Lenticel (เลนติเซล คือโครงสร้างที่ทำหน้าที่ในการแลกเปลี่ยนแก๊ส มองเห็นเป็นรอยแยกหรือรอยแตกของผิวลำต้น) อยู่เหนือระดับน้ำทะเล
2. จะมีรากค้ำยัน (Stilt roots) เช่น รากต้นโกงกาง จะงอกจากด้านข้างของลำต้นส่วนล่าง แล้วปักลงไปในพื้นดิน ประโยชน์เพื่อการค้ำยันลำต้นให้ตั้งตรง
3. จะมีการปรับโครงสร้างของรากเป็นรากรูปเข่า (Knee root) เห็นได้ชัดที่รากของต้นฝาดดอกขาว (Lumnitzera racemosa) ต้นฝาดดอกแดง (Lumnitzera littorea) เพื่อช่วยในการนำออกซิเจนไปเลี้ยงส่วนของรากที่จมอยู่ใต้น้ำ โดยพบว่าพืชจะสามารถปรับให้โครงสร้างของรากหัวเข่าสูงกว่าระดับน้ำทะเลได้ เพื่อไม่ให้รากในส่วนนี้จมอยู่ใต้น้ำ

4. จะมีการปรับโครงสร้างของใบเพื่อทำให้สามารถเก็บกักน้ำไว้ได้มากโดยจะมีเนื้อเยื่อชั้น hypodermis ที่หนาเพื่อทำหน้าที่กักเก็บน้ำ และก็มีต่อมขับเกลือ ดูได้จากเอกสารอ้างอิงที่สามารถค้นหาได้จาก Internet โดยนำชื่อเรื่องไปพิมพ์ใน google ก็จะพบเอกสารที่เป็นไฟล์ PDF มีภาพประกอบเกี่ยวกับโครงสร้างของใบที่ทำให้พืชสามารถอาศัยในสภาพแวดล้อมป่าชายเลนได้

เอกสารอ้างอิง
BORKAR, M. U., ATHALYE, R. P. & GOLDIN, Q. 2009. Salinity induced changes in the leaf anatomy of the mangrove Avicennia marina along the anthropogenically stressed tropical creek. Journal of Coastal Development, 4(3), 191-201.
กลับไปที่เนื้อหา
สัตว์ในป่าชายเลนก็เช่นเดียวกันกับพืชในป่าชายเลน ที่ต้องมีการปรับตัวเพื่ออยู่ในสภาวะแวดล้อมที่มีออกซิเจนต่ำ และมีความเค็มสูง แต่ข้อดีของสัตว์ก็คือมันสามารถที่จะเคลื่อนที่ไปหาสถานที่ที่มีสภาพทีเหมาะสมกับการดำรงชีวิตภายในระบบนิเวศนั้นๆ ได้ การปรับตัวของสัตว์เหล่านี้ส่วนใหญ่มักจะเกี่ยวข้องกับปัจจัยพื้นฐานสำหรับการดำรงชีวิต เช่น การหายใจ การกินอาหาร และการสืบพันธุ์
กรณีการศึกษาเรื่องความหลากหลายของชนิดของสัตว์ในป่าชายเลนนั้น หากจะให้ระบุให้แน่ชัดกันเลยจริงๆ ว่าสัตว์แต่ละกลุ่มมีจำนวนชนิดเท่าใดนั้น คงไม่สามารถระบุได้อย่างชัดเจนและครบถ้วนทุกกลุ่มอย่างแน่นอน เนื่องจากยังไม่มีการสำรวจกันอย่างจริงจังและเป็นระบบ จากการสืบค้นข้อมูลที่มีเผยแพร่ผ่านเครือข่ายอินเทอร์เน็ตพบว่า สัตว์ที่อาศัยอยู่ในป่าชายเลนจะมีทั้งสัตว์บก สัตว์น้ำ แมลง และคาดว่าจะมีความหลากหลายทางชีวภาพพอสมควร แต่ความสำคัญของป่าชายเลนที่สุดก็คือเป็นพื้นที่ที่ตัวอ่อนของสัตว์ต่างๆ เข้ามาอาศัยเพื่อหลบภัยและเพื่อการเจริญเติบโตเป็นตัวเต็มวัย และสัตว์เหล่านี้ก็มักจะเป็นอาหารของมนุษย์เป็นส่วนใหญ่ ดังนั้นจึงสามารถกล่าวได้ว่า ป่าชายเลนเปรียบเสมือนอู่ข้าวอู่น้ำของประชากรโลกนั่นเอง
จากข้อมูลงานวิจัยความหลากหลายทางชีวภาพในป่าชายเลน (วิจารณ์, 2554) พบว่าป่าชายเลนของไทยที่มีพื้นที่กระจายครอบคลุมพื้นที่ 24 จังหวัด มีประมาณ 1,563,730 ไร่ จะประกอบไปด้วยพันธุ์พืช จำนวน 178 ชนิด (เป็นพันธุ์ไม้ 78 ชนิด และ พืชอิงอาศัย 100 ชนิด) สัตว์ในกลุ่ม crustacean 54 ชนิด หอย 26 ชนิด กุ้ง 15 ชนิด ปลา 72 ชนิด แมลง 357 ชนิด สัตว์เลื้อยคลาน 25 ชนิด นกมากกว่า 100 ชนิด และสัตว์เลี้ยงลูกด้วยน้ำนม 39 ชนิด
สำหรับอ่าวคุ้งกระเบน จากข้อมูลในการสำรวจชนิดของสัตว์ในกลุ่มต่างๆ พบว่า ปลาในป่าชายเลน ถูกสำรวจพบและแบ่งออกเป็น 4 กลุ่มใหญ่ๆ คือ ปลาที่อาศัยเป็นประจำ ปลาที่อาศัยอยู่ชั่วคราว ปลาที่มากับกระแสน้ำ และปลาที่พบในบางฤดูกาล ที่นักวิทยาศาสตร์แบ่งกลุ่มของปลาออกเป็น 4 กลุ่มดังกล่าว เนื่องจากป่าชายเลนการเปลี่ยนแปลงของกระแสน้ำตลอดเวลา มีน้ำขึ้น-น้ำลง และมีปลาอพยพตามฤดูกาลด้วย แต่ไม่มีรายงานการระบุถึงจำนวนชนิดของปลาที่แน่นอนไว้ สำหรับปลาที่พบมากก็ เช่น ปลาตีน (Periophtalmus chrysosphilos) และปลากระบอก (Mugil dussumieri)

ความหลากหลายของชนิดของกุ้งที่พบในป่าชายเลนซึ่งจะเป็นกุ้งที่อาศัยอยู่ในน้ำกร่อย ในอ่าวคุ้งกระเบนมีการสำรวจพบทั้งหมด 15 ชนิด เช่น กุ้งกุลาดำ (Penaeus monodon) กุ้งแชบ๊วย (Penaeus merguiensis) กุ้งก้ามกราม (Macrobrachium rosenbergii) กุ้งดีดขัน (Alpheaus ephrosyne) เป็นต้น
วีดิทัศน์ เรื่อง สัตว์ในป่าชายเลน
ชนิดของหอยที่พบในอ่าวคุ้งกระเบน เช่น หอยนางรม (Crassostrea gigas) หอยแครง (Anadara granosa) หอยปากเป็ด (Lingula anatine) หอยจุ๊บแจง (Cerithidea obtuse) หอยมะระ (Chicoreus ramosus) และ หอยน้ำพริกหรือหอยตานนท์ (Littorina scrabra scrabra) เป็นต้น
นกที่พบในป่าชายเลนอ่าวคุ้งกระเบน จะมีทั้งนกประจำถิ่นและนกอพยพซึ่งจากรายงาน "การอนุรักษ์ทรัพยากรธรรมชาติป่าชายเลน" ของศูนย์ศึกษาอ่าวคุ้งกระเบน ได้รายงานชนิดของนกพร้อมภาพประกอบไว้ทั้งหมด 67 ชนิด ซึ่งเป็นนกที่พบได้บ่อยมาก เช่น นกเขาชวา (Geopelia striata) นกกินเปรี้ยว (Todiramphus chloris) นกตะขาบทุ่ง (Coracias benghalensis) นกนางแอ่นแปซิฟิก (Hirundo tahitica) นกยางเปีย (Egretta garzetta) นกยางเขียว (Butorides striatus) เหยี่ยวแดง (Haliastur indus) นกทะเลขาเขียว (Tringa nebularia) เป็นต้น

ปูที่พบในป่าชายเลนอ่าวคุ้งกระเบน มีรายงานการพบประมาณ 30 ชนิด เช่น ปูแสม (Sesarma mederi) ปูแสมเขียว (Episesarma mederi) ปูก้ามดาบ (Uca vocans) ปูม้า (Portunus pelagicus) ปูทะเล (Scylla serrata) ปูหนุมาน (Grapsus albiliniatus) ปูเสฉวน (Hermit crab)



นอกเหนือจากที่กล่าวมาแล้ว ยังพบสัตว์เลี้ยงลูกด้วยน้ำนม เช่น พยูน (Dugong dugon) ค้างคาว ลิงลมหรือนางอาย (Nycticebus coucang) ลิงแสม (Macaca fascicularis) หนูบ้าน (Rattus norvegicus) นาก และสัตว์กลุ่มอื่นๆ เช่น งู (งูปากกว้างน้ำเค็มหรืองูกินปลา ชื่อวิทยาศาสตร์ Cerberus rynchops) กบน้ำเค็มหรือกบกินปู (Fejervarya cancrivora) แม่เพรียง (Nereis spp.) ตะกวด (Varanus spp.) จระเข้ และหิ่งห้อย (ซึ่งมีรายงานการพบ 2 สกุล คือ Luciola spp. และ Pteroptyx spp.) เป็นต้น

หมายเหตุ
สามารถศึกษารายละเอียดของหิ่งห้อยและปลาตีนได้ในเอกสารอ้างอิงหมายเลข 2
เอกสารอ้างอิง
1. วิจารณ์ มีผล (2554) เรื่อง ความหลากหลายทางชีวภาพกับป่าไม้, การประชุมวิชาการเนื่องในปีสากลแห่งป่าไม้และวัน สากลแห่งความหลากหลายทางชีวภาพ ในระหว่างวันที่ 23-24 พฤษภาคม 2554 ณ โรงแรมมารวย กรุงเทพฯ Available [Online] http://chm-thai.onep.go.th/chm/Meeting/2011/may23-24/doc/20110524_C005.pdf
2. ศูนย์ศึกษาการพัฒนาอ่าวคุ้งกระเบน อันเนื่องมาจากพระราชดำริ (2556) องค์ความรู้ การอนุรักษ์ทรัพยากรธรรมชาติป่า ชายเลน Available [Online] http://www.fisheries.go.th/cf-kung_krabaen/knowledge_2.pdf
3. กรมทรัพยากรทางทะเลและชายฝั่ง (2552) เรื่อง สัตว์ในป่าชายเลน, กรมทรัพยากรทางทะเลและชายฝั่ง กระทรวง ทรัพยากรและสิ่งแวดล้อม Available [Online] http://www.dmcr.go.th/marinecenter/mangrove-lesson4.php
กลับไปที่เนื้อหา
วีดิทัศน์ เรื่อง รากไม้ในป่าชายเลน
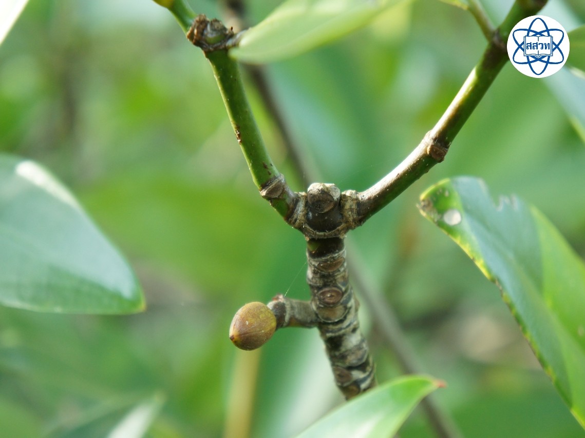
พืชในป่าชายเลนจะต้องมีการปรับตัว โดยจะมีระบบรากที่มีโครงสร้างพิเศษ เนื่องจากรากของพืชในป่าชายเลนจะต้องเจริญเติบโตอยู่ในสภาพน้ำท่วมขัง ดินนิ่ม และปริมาณออกซิเจนน้อย ดังนั้น เพื่อทำให้พืชในป่าชายเลนสามารถดำรงชีวิตในสภาพแวดล้อมที่จำกัดแบบนี้ได้ พืชจะต้องมีการปรับตัวของระบบราก โดยแบ่งได้ 4 แบบ คือ
1. รากแบบค้ำยัน (Stilt roots) คล้ายสะพานโค้ง โดยรากจะงอกจากด้านข้างของลำต้นส่วนล่าง แล้วปักลงไปในพื้นดิน ประโยชน์เพื่อการค้ำยันลำต้นให้ตั้งตรง พบรากลักษณะนี้ในโกงกาง (Rhizophora spp.)

2. รากหายใจ (Pneumatophores) คล้ายเข็มหมุด พบในแสม และลำพู

2.1 แบบดินสอ (Pencil roots) เป็นรากหายใจแบบที่ส่วนโคนและส่วนปลายรากที่พ้นน้ำมีขนาดเท่ากัน ต้นแสมทะเล (Avicennia marina) จะมีรากลักษณะนี้

2.2 แบบโคน (Cone roots) เป็นรากหายใจแบบที่ส่วนโคนรากจะมีขนาดใหญ่กว่าส่วนปลายรากที่อยู่ด้านบนสุดพบรากลักษณะนี้ในต้นตะบูน (Xylocarpus spp.) และต้นลำพูทะเล (Sonneratia alba) จะมีรากหายใจโผล่ขึ้นเหนือน้ำเป็นรูปกรวยคว่ำซึ่งจะมีบริเวณโคนรากจะมีความหนามากกว่าปลายรากที่โผล่พ้นน้ำ

3. รากหัวเข่า (Knee roots) ที่เรียกชื่อแบบนี้เพราะรากจะมีลักษณะคล้ายหัวเข่า เห็นได้ชัดที่รากของต้นฝาดดอกขาว (Lumnitzera racemosa) ต้นฝาดดอกแดง (Lumnitzera littorea) เป็นการปรับตัวเพื่อช่วยในการนำออกซิเจนไปเลี้ยงส่วนของรากที่จมอยู่ใต้น้ำ โดยพบว่าพืชจะสามารถปรับให้โครงสร้างของรากหัวเข่าสูงกว่าระดับน้ำทะเลได้ เพื่อไม่ให้รากในส่วนนี้จมอยู่ใต้น้ำ

4. รากแบบพูพอน (buttress-like roots) คล้ายแผ่นกระดานตั้ง หรือคล้ายลักษณะของปีกต้นไม้ รากนอกจากจะช่วยพยุงลำต้นแล้วยังทำหน้าที่ในการแลกเปลี่ยนอากาศด้วย เพราะออกซิเจนในดินน้อย ทำให้ระบบรากเหล่านี้พัฒนาขึ้นมาเพื่อทำหน้าที่แลกเปลี่ยนอากาศด้วยนอกเหนือจากการลำเลียงน้ำ แร่ธาตุและอาหาร เป็นตะแกรงตามธรรมชาติที่ทำการกรองตะกอนต่างๆ ไม่ให้ไหลลงสู่ทะเลโดยตรง รากแบบนี้มีอีกชื่อหนึ่ง เรียกว่า รากแบบงู (Plank roots หรือ snake like roots) ซึ่งบางตำราอาจจะแยกรากชนิดนี้เป็นรากอีกแบบได้เนื่องจากเห็นลักษณะพูพอนที่โคนต้นไม่ชัดเจน แต่รากที่ปรากฏมีการทดตัวยาวคดไปมาคล้ายกันลักษณะงู

กลับไปที่เนื้อหา
วีดิทัศน์ เรื่อง การขยายพันธุ์ไม้ป่าชายเลน
พืชในป่าชายเลนส่วนใหญ่สืบพันธุ์โดยอาศัยลม แมลง (เช่น ผึ้ง ผีเสื้อกลางคืน ตัวต่อ) นก และค้างคาวเป็นตัวพาเกสรตัวผู้ไปปฏิสนธิกับเกสรตัวเมีย โดยมีทั้งการผสมภายในต้นเดียวกัน (self-pollination) เช่น ฝาดดอกขาว (Lumnitzera racemosa) และการผสมข้ามต้น (cross-pollination) นอกจากนี้ยังพบว่าพืชหลายชนิดจะมีการสืบพันธุ์ทั้งแบบอาศัยเพศและแบบไม่อาศัยเพศ ดังรายละเอียดที่กล่าวไว้ในวีดิทัศน์

สำหรับตัวอย่างของการผสมเกสรของพืชที่ต้องอาศัยสัตว์ชนิดอื่นๆ เข้ามาช่วยเป็นพาหะในการนำเกสรตัวผู้ไปผสมกับเกสรตัวเมีย มีดังนี้ ต้นฝาดดอกแดง (Lumnitzera littorea) พบว่าจะต้องอาศัยนกเป็นตัวพาเกสรตัวผู้ไปผสมกับเกสรตัวเมีย ในขณะที่ ฝาดดอกขาว (Lumnitzera racemosa) และพืชใน Genus Bruguiera ซึ่งดอกมีขนาดเล็กก็จะต้องอาศัยแมลงเป็นตัวพาเกสรตัวผู้ไปผสมกับเกสรตัวเมีย และสำหรับพืชใน Genus Sonneratia ซึ่งดอกจะบานในเวลากลางคืน ทำให้ค้างคาวเป็นสัตว์ที่มีความสำคัญกับการขยายพันธุ์ของพืชในจีนัสนี้ เช่น ต้นลำพูทะเล (Sonneratia alba) เป็นอย่างมาก
จากการสืบค้นข้อมูล พบว่าประเทศสิงคโปร์ ได้กล่าวถึงความสำคัญของต้นลำพูทะเลไว้ว่า ถ้าไม่มีลำพูทะเลก็จะไม่มีทุเรียน หรือ No durians without Sonneratia? ที่กล่าวเช่นนั้นก็เพราะว่านักวิทยาศาสตร์ศึกษาพบว่า ค้างคาวที่ช่วยในการผสมเกสรต้นลำพูเป็นค้างคาวชนิดเดียวกับค้างคาวที่ช่วยผสมเกสรต้นทุเรียนและโครงสร้างของดอกทุเรียนและลำพูทะเลก็มีลักษณะเหมือนกัน สามารถดูข้อมูลเพิ่มเติมเกี่ยวกับต้นลำพูทะเล Mangrove Apple (Sonneratia alba) ได้ที่เว็บไซต์ http://www.naturia.per.sg/buloh/plants/sonneratia.htm จากตัวอย่างดังกล่าว จะเห็นได้ว่า สิ่งมีชีวิตต่างๆ ที่อาศัยในระบบนิเวศจะต้องพึ่งพาอาศัยกัน และมีความสำคัญต่อการดำรงชีวิตภายในระบบนิเวศนั้นๆ
ลักษณะของใบ ดอก ผล ของพืชในป่าโกงกางสามารถศึกษาและดูภาพประกอบได้จากเว็บไซต์ Mangroves trees and shrubs http://www.fao.org/docrep/010/ai387e/ai387e06.htm
กลับไปที่เนื้อหา
วีดิทัศน์ เรื่อง หญ้าทะเลในอ่าวคุ้งกระเบน
ระบบนิเวศหญ้าทะเลมีความสำคัญอย่างมากต่อสิ่งมีชีวิตที่อาศัยอยู่ตามชายฝั่งทะเล เป็นแหล่งที่อยู่อาศัย สืบพันธุ์และวางไข่ เจริญเติบโต หลบภัย และหาอาหารของสิ่งมีชีวิตที่อาศัยตามหน้าดิน ปลา สิ่งน้ำวัยอ่อนนานาๆ ชนิด หญ้าทะเลเป็นอาหารของพะยูน ปลา และสัตว์ไม่มีกระดูกสันหลังหลายชนิด หญ้าทะเลที่พบในประเทศไทย มีทั้งหมดมี 12 ชนิด จากจำนวน 58 ชนิดทั่วโลก คือ
1. หญ้าคาทะเล (Enhalus acoroides)
2. หญ้าชะเงาเต่า (Thalassai hemprichii)
3. หญ้าใบมะกรูด (Halophila ovalis)
4. หญ้าใบมะกรูดขน (Halophila decipiens)
5. หญ้าใบมะกรูดแคระ (Halophila minor)
6. หญ้าใบพาย (Halophila beccarii)
7. หญ้าใบสน (Syringodium isoetifolium)
8. หญ้าชะเงาใบแคบ (Halodule uninervis)
9. หญ้าผมนาง (Halodule pinifolia)
10. หญ้าชะเงาสั้นปลายหนาม (Cymodocea serrulata)
11. หญ้าชะเงาสั้นปลายใบมน (Cymodocea rotundata)
12. หญ้าตะกานน้ำเค็ม (Ruppia maritima)
โดยชนิดที่ 12 จะพบเจริญเติบโตอยู่ในฝั่งอ่าวไทยเท่านั้น สำหรับที่ศูนย์ศึกษาการพัฒนาอ่าวคุ้งกระเบน จะพบหญ้าทะเล 2 ชนิด คือ หญ้าชะเงาเต่า (Thalassai hemprichii) และ หญ้าผมนาง (Halodule pinifolia)

ข้อมูลเพิ่มเติม
1. ภาพหญ้าตะกานน้ำเค็ม ดูได้จากเว็บ http://www.dmcr.go.th/marinecenter/seagrass/seagrasses-5.php
2. ระบบนิเวศป่าชายเลน ปากแม่น้ำ และหญ้าทะเล ในพื้นที่ลุ่มน้ำทะเลสาบสงขลา จากเว็บไซต์ กลไกการเผยแพร่ข้อมูลข่าวสารความหลากหลายทางชีวภาพ จังหวัดสงขลา http://www.sc.psu.ac.th/chm/biodiversity/eco_system.html
3. ฐานข้อมูลความรู้ทางทะเล http://www.mkh.in.th/index.php/2010-03-22-18-04-43/2010-03-25-13-45-39
กลับไปที่เนื้อหา
เรามักจะพูดกันเสมอว่าป่าไม้มีความสำคัญ ป่าชายเลนมีความสำคัญ รวมถึงทรัพยากรธรรมชาติอื่นๆ เราก็พูดกันเสมอว่ามันมีความสำคัญต่อมนุษย์และสิ่งมีชีวิตอื่นๆ แต่เราจะเข้าใจถึงความสำคัญของสิ่งเหล่านี้มากน้อยแค่ไหน จะเห็นได้จากการมีส่วนร่วมของคนในชุมชนที่มีต่อนโยบายของภาครัฐในเรื่องของการอนุรักษ์และการจัดการทรัพยากรป่าชายเลน ซึ่งจะสะท้อนให้เห็นจากสภาพแวดล้อมทางธรรมชาติของชุมชนนั้นๆ
ประโยชน์ที่เห็นชัดที่สุดของป่าชายเลนที่ถูกนำมาเผยแพร่ผ่านสื่อต่างๆ ก็เห็นจะเป็นเรื่อง
1. ป่าชายเลนเป็นแหล่งอาหารสำคัญของมนุษย์เนื่องจากเป็นที่ที่สิ่งมีชีวิตในทะเล เช่น ปลา ปู กุ้ง และหอยนานาชนิด เข้ามาอาศัยหลบภัย เจริญเติบโต สืบพันธุ์และวางไข่ เหมือนกับแหล่งปะการังในทะเล
2. ป่าชายเลนเป็นแนวป้องกันการกัดเซาะชายฝั่งทะเล และลดความรุนแรงของคลื่นน้ำทะเลที่กระทบกับชายฝั่ง
3. เป็นแหล่งท่องเที่ยวที่สามารถสร้างรายได้ให้กับคนในชุมชนได้อย่างยั่งยืนหากมีการจัดการที่ถูกต้องและเหมาะสม
4. ประโยชน์จากการใช้ไม้ในป่าชายเลนในเรื่องต่างๆ มากมาย ดังนั้นจึงมีการเข้ามาตัดไม้ในป่าชายเลนไปใช้ประโยชน์สำหรับ สร้างบ้านเรือน อุปกรณ์ต่างๆ ใช้เป็นเชื้อเพลิง และยารักษาโรค
5. เป็นแหล่งอาหารและสร้างรายได้ให้กับคนในชุมชนในเรื่องของการทำประมงชายฝั่ง
ส่วนประโยชน์ของป่าชายเลนที่มองเห็นได้ไม่ชัดเจน จะเป็นเรื่องของความหลากหลายทางชีวภาพของป่าชายเลน และความสัมพันธ์ของสิ่งมีชีวิตในระบบนิเวศป่าชายเลนซึ่งเป็นแหล่งอาหารสำคัญของมนุษย์เนื่องจากเป็นพื้นที่ที่เป็นแหล่งอนุบาลสัตว์น้ำวัยอ่อนที่ในที่สุดก็จะเจริญไปเป็นตัวเต็มวัยที่เป็นอาหารของมนุษย์ ผลกระทบที่เกิดขึ้นกับสิ่งมีชีวิตชนิดหนึ่งย่อมส่งผลถึงสิ่งมีชีวิตอีกชนิดหนึ่งในสายใยอาหารในระบบนิเวศป่าชายเลนอย่างหลีกเลี่ยงไม่ได้ ซึ่งข้อมูลต่างๆ เหล่านี้มนุษย์ยังไมได้สามารถศึกษาและทำความเข้าใจถึงความสัมพันธ์ดังกล่าวได้อย่างละเอียดและถูกต้อง จึงมีความสำคัญอย่างมากที่ต้องเร่งดำเนินการศึกษา เพื่อนำผลการศึกษามาวางแผนการใช้ และจัดการทรัพยากรอย่างถูกต้องและยั่งยืนต่อไป
วีดิทัศน์ เรื่อง ประโยชน์ของป่าชายเลน
กลับไปที่เนื้อหา
การส่งเสริมการเพาะเลี้ยงสัตว์น้ำชายฝั่งในพื้นที่ป่าชายเลนที่เสื่อมโทรม (พื้นที่โซนพัฒนาของศูนย์ศึกษาการพัฒนาอ่าวคุ้งกระเบน อันเนื่องมาจากพระราชดำริ) ซึ่งจะให้ความรู้กับเกษตรกรอย่างถูกต้องในเรื่องต่างๆ เพื่อไม่ทำให้เกิดปัญหาทางด้านสิ่งแวดล้อม เช่น เพาะเลี้ยงสัตว์น้ำอย่างไรไม่ให้มีสารเคมีตกค้างในสิ่งแวดล้อมมาก วิธีการบำบัดน้ำเสียที่เกิดขึ้นจากการเพาะเลี้ยงสัตว์น้ำชายฝั่งต้องทำอย่างไร เป็นต้น





วีดิทัศน์ เรื่อง ป่าชายเลน แหล่งเพาะสัตว์น้ำชายฝั่ง
กลับไปที่เนื้อหา
ปัญหาที่เกิดขึ้นกับป่าชายเลนทั่วโลก เนื่องมาจากการเพิ่มขึ้นของประชากรและความต้องการในเรื่องของการพัฒนาทางด้านเศรษฐกิจ ธุรกิจด้านต่างๆ ซึ่งเป็นปัจจัยหลักที่ทำให้เกิดการบุกรุกเข้าใช้ประโยชน์ในด้านต่างๆ คือ
1. ถูกบุกรุกตัดต้นไม้ในป่าชายเลน เพื่อนำพื้นที่มาใช้ในการเพาะเลี้ยงสัตว์น้ำ เช่น ทำฟาร์มเพาะเลี้ยงสัตว์น้ำชนิดต่างๆ ไม่ว่าจะเป็นกุ้ง หอย หรือเลี้ยงปลาทะเลสวยงาม
2. ถูกบุกรุกตัดต้นไม้ในป่าชายเลนเพื่อนำพื้นที่มาทำการเกษตรกรรม เช่น ปลูกข้าว ปลูกมะพร้าว ทำนาเกลือ เป็นต้น
3. การขยายตัวของแหล่งชุมชน ทำให้มีการบุกรุกเพื่อนำที่ดินบริเวณป่าชายเลนสร้างบ้านเรือน หมู่บ้านจัดสรร หรือแม้แต่เป็นที่ทิ้งขยะของชุมชน ที่พัก รีสอร์ต โรงแรม ท่าเทียบเรือ โรงไฟฟ้า และสร้างถนนตามแนวชายฝั่งทะเล เป็นต้น
วีดิทัศน์ เรื่อง ปัญหาที่เกิดขึ้นกับป่าชายเลนและแนวทางการแก้ปัญหา
ปัญหาทั้งหมดรัฐจะต้องกำหนดนโยบาย แผน และกฏระเบียบ ข้อบังคับ บทลงโทษต่างๆ ให้ชัดเจนเกี่ยวกับการใช้ประโยชน์ในพื้นที่ป่าชายเลนเพื่อไม่ให้เกิดผลกระทบจากการที่ป่าชายเลนถูกทำลาย และผลกระทบที่เกิดจากการเข้าไปใช้ประโยชน์ในด้านต่างๆ ในป่าชายเลนที่เสื่อมโทรม
กลับไปที่เนื้อหา
-
คลังรูปภาพ
ชื่อ Galleryการตรวจค่า pH ในน้ำGalleryชื่อ Galleryนากุ้งGalleryชื่อ Galleryป่าชายเลนGalleryชื่อ Galleryพืชบริเวณป่าชายเลนGalleryชื่อ Galleryสัตว์บริเวณป่าชายเลนGalleryชื่อ Galleryบรรยากาศในศูนย์Galleryชื่อ GalleryภาพพาโนรามาGallery
-
คลังวิดีทัศน์
ตอน ป่าชายเลนมีความสำคัญอย่างไร
-
คำที่เกี่ยวข้อง
